Gezondheid
Deze pagina bevat informatie over:
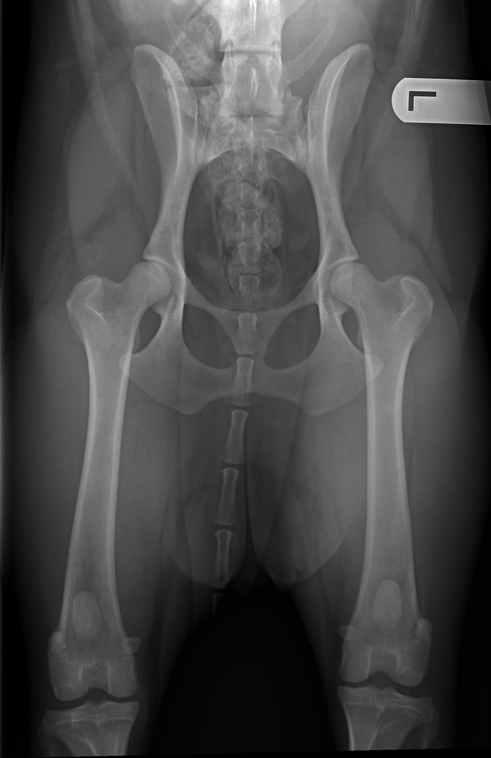
1. Officiële HD-foto (HD A)
2. Inventarisatie
3. CD (neuro)-test (vrij)
4. Oogtest (vrij)
1. Officiële HD-foto
Hieronder de heupfoto en officiële uitslag. De dierenarts (Dr. Strikkers) was heel tevreden met de heupen die hij zag, voor een hond van ruim 2,5 jaar oud. De officiële uitslag is dan ook prima: HD A!

2. Inventarisatie
10 oktober 2014 is Dieke geïnventariseerd door Angélique Plasman.
| Maten: | ||
| Snuitlengte: | 9 cm | |
| Snuitbreedte 1: | 22 cm | |
| Snuitbreedte 2: | 18 cm | |
| Koplengte: | 21 cm | |
| Schedelbreedte: | 38 cm | |
| Borstomvang: | 59 cm | |
| Schofthoogte: | 50 cm | |
| Lichaamslengte: | 54 cm | |
| Gewicht: | 17,6 kg | |
| Hoofd: | Droog | |
| Neus: | Recht | |
| Kleur: Zwart | ||
| Gebit: | ||
| Stand: | Schaar | |
| Ontwikkeling | Goed | |
| Ogen: | ||
| Stand: | Waterpas | |
| Aansluiting ogen: | Goed | |
| Ligging: | Goed | |
| Kleur: | Donkerbruin | |
| Oren: | ||
| Aanzet: | Normaal | |
| Beharing: | Kenmerkend | |
| Vorm: | Troffel | |
| Lengte: | Goed | |
| Lichaam: | ||
| Rug: | Recht | |
| Buiklijn: | Goed | |
| Voedingstoestand: | Goed | |
| Voorhand: | ||
| Hoek: | Goed | |
| Voeten: | Goed | |
| Achterhand: | ||
| Hoek: | Goed | |
| Voeten: | Goed | |
| Voorhand en achter- hand in balans |
||
| Staart: | ||
| Beharing: | Bossig | |
| Dracht: | Laag | |
| Beharing algemeen: | Sluik | |
| Stand: | ||
| Voorbenen: | Goed | |
| Achterbenen: | Goed | |
| Gang: | ||
| Gangen: | Regelmatig | |
| Gezondheidskenmerken: | ||
| Geslachtsapparaat: | Loopsheid: | Regelmatig |
| Melkklierpakketten: | Schijndracht: | Geen |
| Bewegingsapparaat | Heupdysplasie: | Officieel: HD A |
| Milieu: | Huis + tuin | Veel beweging |
| Gedrag en karakter: | ||
| Oordeel eigenaar: |
Knuffelig, lief, aanhankelijk, |
|
| Oordeel controleur: |
Echt meisjesstabijtje. Vriendelijk en knuffelig. |
|
3. CD (Neuro) test
Op 24 december 2015 is er DNA afgenomen voor de Neuro (CD) test, die sinds augustus 2015 verplicht is bij de stabij (mocht je een dekaanvraag willen doen). De uitslag is op 23 februari 2016 binnen gekomen. Dieke is geen lijder of drager van het gen. Kortom, ze is dus vrij!
4. Oogtest
Deze test is niet verplicht binnen het ras, maar na onze ervaringen met Senna (die cataract heeft) willen we geen onnodige risico's nemen. Ook al is Dieke geen familie van Senna. We willen het zekere voor het onzekere nemen en hebben deze test dus extra gedaan bovenop de overige gezondheidsonderzoeken vanuit de vereniging.
Op 7 oktober 2016 zijn de ogen van Dieke getest door mevr. Verbruggen (oogspecialist) en is ze (voorlopig) vrij bevonden! Heel fijn dus!
